02 Sep Road Closure
Posted at 21:44h
in News
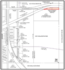
INTENTION OF CLOSURE OF ROAD ALLOWANCE OYEN, ALBERTA (SPECIAL AREA NO. 3)
Sketch showing:
ROAD CLOSURE
Described as:
All that portion of the government road allowance along the north boundary of the N.W. 1/4 Sec. 35-27-4-W4M & East of Railway
R/W Plan RW 18 to be Cancelled and Consolidated.

Any objection to this closure must be filed by September 16, 2022 with:
Special Areas Board
Box 820
Hanna, AB T0J 1P0
Attn: Trent Caskey, Director – Property Administration
Dated at Hanna this 30th day of August, 2022.